2019-05-16 19:45:22
«ПУТИНСКАЯ» ЭСТАКАДА, КОТОРАЯ СВЯЖЕТ СТАРЫЕ И НОВЫЕ ХИМКИ
26
«ПУТИНСКАЯ» ЭСТАКАДА, КОТОРАЯ СВЯЖЕТ СТАРЫЕ И НОВЫЕ ХИМКИ
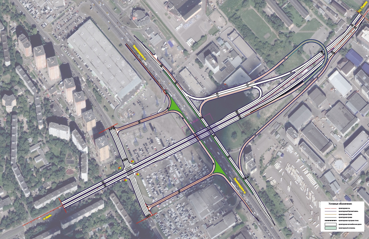
“Ъ” стали известны подробности проекта эстакады, которую построят в Химках по поручению президента Владимира Путина, пишет сегодняшний «Коммерсант» (https://www.kommersant.ru/doc/3968841).
В министерстве транспорта и дорожной инфраструктуры Московской области рассказали подробности проекта будущей четырехполосной эстакады, которая соединит западные и восточные районы («старые» и «новые») Химок. Предпроектные работы завершаются, рассказали в ведомстве. «Принято предварительное решение о строительстве двухуровневой развязки протяженностью 1 км с эстакадой через Ленинградское шоссе, которая соединит улицу Репина с улицей Дружбы,— рассказали в министерстве.— Предполагается строительство дублеров Ленинградского шоссе с двумя полосами движения.
Проектные работы будут выполнены до конца 2019 года, после чего будет проведен конкурс, начнется строительство, которое должно быть завершено в 2021 году».
“Ъ” стали известны подробности проекта эстакады, которую построят в Химках по поручению президента Владимира Путина, пишет сегодняшний «Коммерсант» (https://www.kommersant.ru/doc/3968841).
В министерстве транспорта и дорожной инфраструктуры Московской области рассказали подробности проекта будущей четырехполосной эстакады, которая соединит западные и восточные районы («старые» и «новые») Химок. Предпроектные работы завершаются, рассказали в ведомстве. «Принято предварительное решение о строительстве двухуровневой развязки протяженностью 1 км с эстакадой через Ленинградское шоссе, которая соединит улицу Репина с улицей Дружбы,— рассказали в министерстве.— Предполагается строительство дублеров Ленинградского шоссе с двумя полосами движения.
Проектные работы будут выполнены до конца 2019 года, после чего будет проведен конкурс, начнется строительство, которое должно быть завершено в 2021 году».
